
肥胖对照图
随着经济的发展,人们的生活条件也越来越好,很多宠物的饮食结构及饮食习惯都已经与政策的的饮食偏离了不少,这种情况下很多宠物也出现肥胖的症状。
所谓的肥胖,指的是机体内的脂肪过多的堆积而引起机体众多生理功能改变的一种病理性疾病。通常我们将体重超过其理想体重的
15%时则称为肥胖。造成肥胖的原因很多,如品种因素,年龄因素,遗传因素,是否绝育等等。无论哪种原因导致的肥胖,都存在一个共通的原因:能量的摄入超过了能量的消耗。
一、肥胖的危害:
1、运动不耐受和心肺疾病:
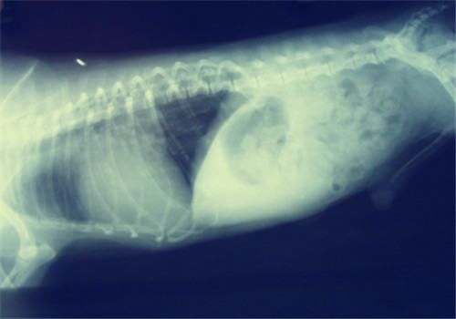
运动不耐受与心肺疾病史肥胖的主要并发症之一,随着犬的体重增加,其心率,心室容量、血压及血容量也会随之而升高。因此对于心脏的负荷也随之增加,长时间的超负荷很容导致心脏疾病的发生。同时由于脂肪太多,大量的堆积在胸壁和腹壁,胸腔和腹腔的运动性变差,呼吸收到一定的压迫。由于心肺功能的不全,加上运动时需要克服重力的作用也增大,从而导致动物运动的不耐受。

肺脏疾病
2、麻醉风险的增高:
一方面,由于很多麻药都是脂溶性,导致动物麻醉后药物大量的蓄积在脂肪中,释放缓慢导致麻醉的苏醒时间延长,加重麻醉的风险。同时,由于肥胖动物一般都存在心扉功能不全,导致呼吸系统和循环系统的功能障碍,这会进一步的加重麻醉的风险及危害。
3、骨关节病:
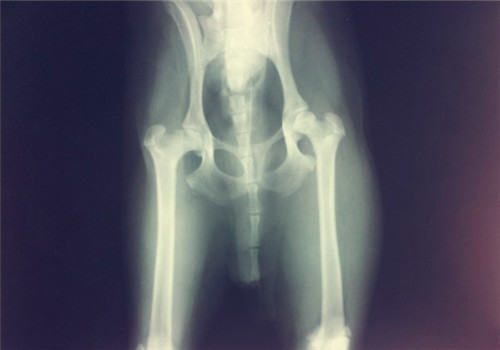
由于肥胖而导致的体重高于正常,这会导致对骨关节的负担加重,使得一些骨关节病的
发病率会增加。这多表现在大型犬,当大型犬的幼犬在幼年时因能量摄入过多而导致肥胖后,会引发多种骨科疾病或加重髋关节发育不良的情况。同时,由于骨关节问题而导致的动物运动减少,导致能量消耗减少,而能量的摄入不便,会进一步加重肥胖,形成恶性循环。

髋关节发育不良
4、其他
有研究表明,肥胖动物的寿命会比正常的短,同时肥胖还易伴发高血脂症,且在糖尿病、尿结石、肿瘤等方面都有更大的患病几率。
二、如何判断肥胖
用于检查肥胖的方法很多,包括有:体重测评法、形态学测量法、超生测量法、双能
X线吸收法、同位素疗法、生物电阻抗法等。通常未免能够之间判断的就是前两种:体重测评法和形态学测量法。而我们临床上更多的会选择用体态学的测量法。
体态学的测量法也有三种,三级评分法,五级评分法,九级评分法。这里就简单介绍前面两种,在评判动物是否肥胖上面会比较简便容行。
三级评分法:
1=瘦,
2=理想,
3=肥胖

肥胖的猫
如何操作我们可以观察动物的胸部(主要是短毛类),如果你可以看到肋骨,那么那就是偏瘦,如果你看不到肋骨,但是用手摸的时候可以摸到,说明是理想。当你用手摸的时候都很难甚至摸不到肋骨的时候就是肥胖。这种方法是相对最为简单的判断方法。
五级评分法:
1=极瘦,
2=偏瘦,
3=理想,
4=超重,
5=肥胖。

三、肥胖的治疗
导致肥胖最直接的原因就是能量摄入过多或消耗过少,因此对于肥胖的治疗,应采取限制能量的摄入同事增强动物的运动。在营养方面在减少糖类和脂质的摄取的同时,应该保证蛋白和维生素的供给。切勿盲目的禁食而出现营养不良等更严重的后果。
需要注意的事,减肥这件事需要主人们齐心协力,切勿家人意见不统一或行为不统一。尤其是在医生给你制定了计划的时候一定要配合进行食疗。










