再次提醒犬猫车祸的代价,当我们以爱的前提去饲养它们的时候,很多时候却是让它们受到伤害。爱它们,请正确的爱;宠它们,请贴心的宠;懂它们,请完全科学的懂。
目前每周出现车祸的猫咪和狗狗陆续增加,这里再次提醒大家,车祸,会给宠物们更多的伤害,尤其会威胁到生命的并非疾病本身,而是同人类一样的无情车祸,建议各位家长用更加正确的方式去宠爱它们。
当犬猫发生车祸时,后果不堪设想,轻者是犬猫受到惊吓,几天不饮不食,擦破皮外伤,重者,脏器严重出血,几分钟就能要了犬猫的生命,还有一部分,即使不能死亡,也会造成严重的肢体损伤,比如骨盆粉碎,骨骼断裂,腹壁疝,腹股沟疝,胸腔积液,各处软组织淤血等等,有的还会引起排便排尿的异常损伤,或是支配的神经受损,或是膀胱破裂无法排出尿液等,这些伤害对于爱宠们来说是极其要命的。主人需要上班的同时,在去护理和照顾这样病重的犬猫,有很大一部分则直接选择放弃,有一小部分则愿意承担巨额的医药费用并在医院进行护理和照顾,虽然术后仍会保留些不能正常生活的可能,但是已经尽最大努力保住生命。
我们在日常中最常见到的是由于犬猫不戴牵引带,或是在车少的地方突然驶出车辆撞上等情况。主人总是认为,我的狗一喊就回来,但是不要忘记,即使人类出行的时候,都会遇到意外,更何况是犬或者猫呢,它们没有人类聪明的大脑的一种动物,所以,最主要的原因还是在与主人对这个散放的认知度,降低车祸的另外一个原因既是开车的人,时刻观察下那些没有家,没有住所的猫咪流浪犬等,它们往往会躲在车轮下,进行躲避来自人类的危险,或是躲风挡雨,那么我们可以伸出手帮它们下,给予一些食物和被褥,或是搭建一个小窝,也许这个冬天它们就不会挨冻,就能看到明年的冬天。
这是一例被碾压的骨盆粉碎性骨折的流浪犬,到医院已经奄奄一息,检查过程中发现腹腔脏器受到严重损害,极度贫血,呼吸困难,结膜苍白,腹部膨大,体温已经检测不到,血压极低,抢救过程中死亡。

骨盆粉碎性骨折的流浪犬
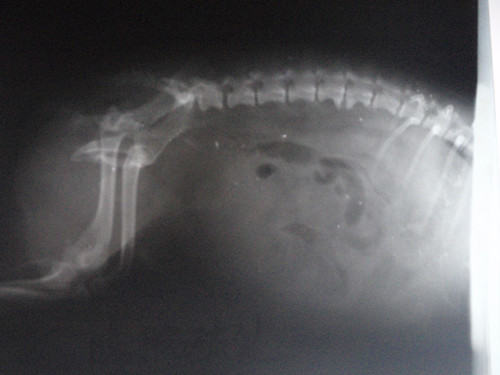
这是一例膀胱破裂的腹部影响,该犬来诊时已经是车祸第三天,初期无特殊异常,但这三天中一直未发现犬有排尿情况,就诊后发现,膀胱破裂,进行手术缝合及腹腔冲洗,预后良好。

犬膀胱破裂
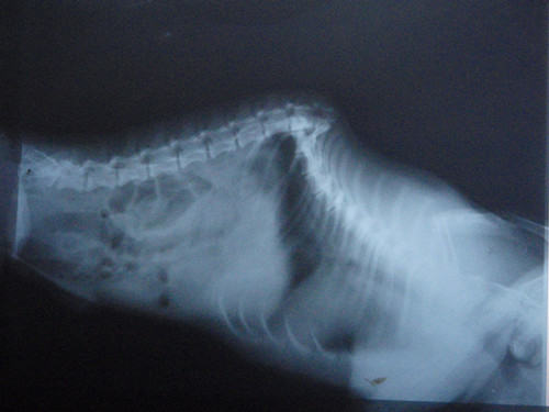
这是一例车祸导致腰椎折断的病例,双侧后肢瘫痪,无知觉,但主人不离不弃,一直照顾,并进行中医疗法进行针灸,后肢已经稍有感觉。

犬腰椎折断
下图为车祸导致的左前肢截肢。一例土佐犬风光的背后也有伤痛,不会在战场中驰骋,只能安于平静的生活。

犬左前肢截肢
下图为一例尾巴被碾压导致感染的猫咪,现在已然成了无尾猫。这个虽未威胁到生命,但是在救治过程中,此猫对线极度敏感,导致刀口长时间不易愈合。

感染的猫咪
当我们面对这些车祸中的宠物的时候,是选择继续坚持还是放弃?
我们是有一线希望都不放弃的,但是更愿意将这些作为教材来警示,让我们时刻有些顾虑和担心,让我们更加对宠物负责,更加让生命平等起来,让我们更好的爱它们,更好的照顾它们,而非让它们更加痛苦。
作为一名宠物医疗工作者,真心爱这些可爱的小生灵,愿它们正常的快乐健康的生活在世上。










